ИМОТИ
ПАРЦЕЛ В РЕГУЛАЦИЯ МЕСТНОСТ ПЕРЧЕМЛИЯТА
Тип имот: Земя -> Урбанизирани територии -> Жилищни
Код на обявата: 21539
Населено място: Варна област / м-т Перчемлия
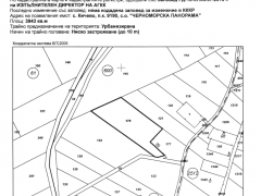
Квадратура: 3943 м²
Продава:
Описание:
Акцент Инвест Ви предлага за продажба парцел с площ 3943 кв.м. м-ст "Перчемлията" на трета линия от главна улица.
Парцелът се намира на 15 минути от центъра на града, 10 минути от курортните комплекси - Златни пясъци , Св . Св. Константин и Елена . Непосредствена близост до природен парк Златни пясъци и туристически обект 'Аладжа манастир'.
Контакти:

БРОКЕР НИКОЛАЙ ХРИСТОВ
тел. +35952602118
тел. +35952611010
Мобилен +359882367736
АКЦЕНТ ИНВЕСТ
бул. Мария Луиза 39, Варна - 9000
тел.: +359 52 61 10 10
Факс: +359 52 60 21 18
e-mail: office@accentinvest.com















